Home
Photos
Sketches
Home
Photos
Sketches
A L I X A T L A R G E
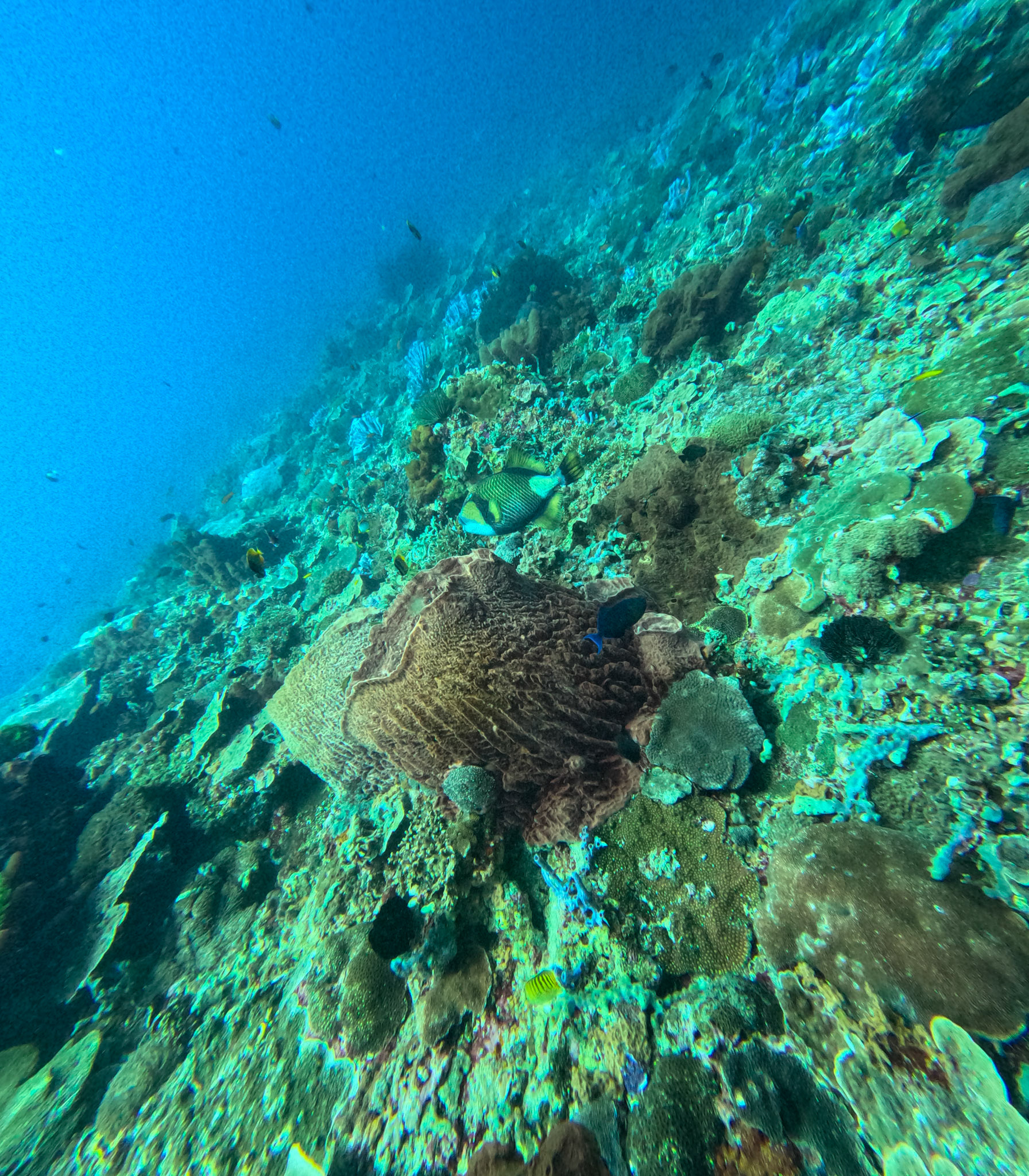
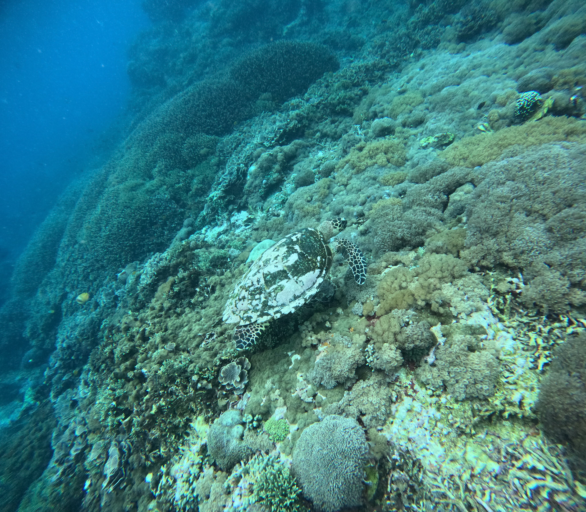
Bali Round 2
You may also like
Thailand
2017
Gili Trawangan
2024
Vietnam Round 2
2024
Amsterdam
2013
Vietnam
2020
Thailand Round 2
2025
Australia Round 2
2024
Bali
2017
UK
2025
New York City
2016
↑
Back to Top